Long Island Veterinary Specialists (LIVS)
What is hip dysplasia?
Hip dysplasia is one of the most common orthopedic conditions seen in dogs. While this condition typically affects large and giant breeds, any size dog, and even cats, may be affected. Hip dysplasia is the abnormal growth and development of the hip joint. The hip joint is a “ball and socket” joint. The ball is the head of the femur. The socket is part of the pelvic bone, the acetabulum. Normally, the head of the femur fits very tightly within the acetabulum. In hip dysplasia, the joint does not fit together snugly, causing instability. As a result, the joint will partially subluxate or move in and out of the socket. This may cause cartilage damage and severe arthritis in dogs as early as one year of age.
What are the signs and symptoms of hip dysplasia?
Reluctance to exercise
“Bunny hop” on stairs
Swaying gait or wiggling of hips as they walk
Short steps in either hind leg
Slowness getting their rear end off the floor
Slowness lying down
Difficulty climbing stairs or jumping
Lameness (limping) prevalent first thing in the morning
Tendency to worsen after heavy exercise, usually noticed the next day
More severe symptoms seen on cold and wet days

Dr. Dominic J. Marino pioneered the development of both micro and nano hip replacements and has performed over 2,000 hip replacements in dogs, cats and pot-bellied pigs.
He has published many scientific articles, and authored chapters in both veterinary and human medical textbooks He lectures extensively both nationally and internationally on many surgical topics including soft tissue, orthopedic, and neurosurgery, as well as tactical veterinary medicine at both human and veterinary conferences.
Dr. Marino is the director of The Canine Chiari Institute at Long Island Veterinary Specialists and on the board of directors of The New York Veterinary Foundation, Veterinary Recommended Nutraceuticals, and the Police Surgeons Benevolent Association. Dr. Marino is a board of trustee member and served as chairman of the scientific advisory board of the Chiari Syringomyelia Foundation.
Hip Dysplasia Treatment Options at LIVS
Our team can perform a wide range of procedures to address your pet's hip dysplasia, including:
Conservative Treatment
Weight Management:
Weight management is extremely important for all pets. In hip dysplasia cases, obesity adds additional stress on already abnormal hips. Added soreness and accelerated arthritis is also likely.
Non-Steroidal Anti-Inflammatory Drugs (NSAIDS):
Anti-inflammatory medications and injections may be used to manage discomfort and soreness for pets with hip dysplasia.
Chondroprotective Agents:
Chondroprotective agents such as glucosamine, chondroitin sulfate and omega fatty acids are nutraceuticals that help mend damaged cartilage. These nutritional supplements have few side effects and may relieve arthritis discomfort for many years.
Controlled Exercise:
Exercise must be controlled for conservative therapy to be effective. Unrestricted running, jumping and roughhousing must be prohibited. When soreness flares up, exercise should be extremely limited for a few days.
Triple Pelvic Osteotomy
Saving the Natural Joint
Triple pelvic osteotomy (TPO) is a surgical procedure designed to save the natural joint by reducing or eliminating the laxity. With TPO, the pelvis is cut in three places so the acetabulum can be rotated over the head of the femur to prevent it from slipping out of the socket or subluxating. TPO is not appropriate for all dogs and works best in dogs that have hip laxity with minimal arthritis present. Dogs are usually younger (5-12 months old) when this procedure is performed, prior to significant bone arthritis formation. Typically, both hips are operated on in two separate surgeries. Exercise must be restricted for 2-3 months to allow the pelvic bones to heal after surgery.
Femoral Head & Neck Ostectomy
Removing Part of the Natural Joint
The femoral head and neck ostectomy (FHO) procedure is designed to minimize the source of discomfort by eliminating “bone on bone” contact. To accomplish this, the femur is cut, and the head and neck portions removed. A muscle pad is placed over the cut bone and scar tissue forms between the femur and the acetabulum where the femoral head and neck were located. This is called a “false-joint” because motion between the bones is maintained without the original ball-and-socket joint. Eventually, this scar tissue provides enough support to permit use of the limb without causing significant discomfort.
FHO surgery is successful in eliminating discomfort. However, approximately one-third of owners report that their dogs continue to limp intermittently, have some muscle atrophy (thinning) in the operated leg, and have decreased range of motion.
Total Hip Replacement
Replacing the Natural Joint
Total hip replacement (THR) is designed to eliminate the source of discomfort and restore range of motion by replacing the arthritic joint with an artificial hip joint prosthesis. The arthritic femoral head and neck are removed and replaced with a metal head and stem. The arthritic acetabulum is removed and replaced with a cup made of high-molecular-weight plastic. The metal head and plastic cup fit together like the original ball-and-socket joint, providing support and pain-free, mechanically-sound movement almost immediately after surgery.
The surgery can be performed on arthritic dogs over six months of age, but surgeons prefer to wait until 11 months of age or older when possible. Only one hip is operated on at a time, because it is difficult to facilitate an appropriate recovery if both hips are operated on simultaneously. Since dogs feel great after surgery and want to run as soon as they can, exercise restrictions must be enforced for three months following surgery to allow all the tissues around the prosthesis to heal. More than 97% of patients return to normal function after surgery. Pets can be expected to run, jump and play as they did before discomfort hindered them. THR typically lasts the lifetime of pets and offers the best long-term results.

Cemented, Cementless, and Hybrid Total Hip Replacements
Cemented, cementless, and hybrid hip replacement procedures are available at LIVS.
Cemented components have the benefit of instant strength immediately after surgery and can fit many different bone shapes.Cementless components have the advantage of less foreign material being needed and more bone-in-growth over the years. Hybrid components offer some advantages from both systems.
Dr. Marino will decide which implants will best serve your pet’s needs at the time of surgery. It may then be determined that a hip replacement is not in your pet’s best interest. In those rare circumstances, a femoral head and neck ostectomy will be performed.
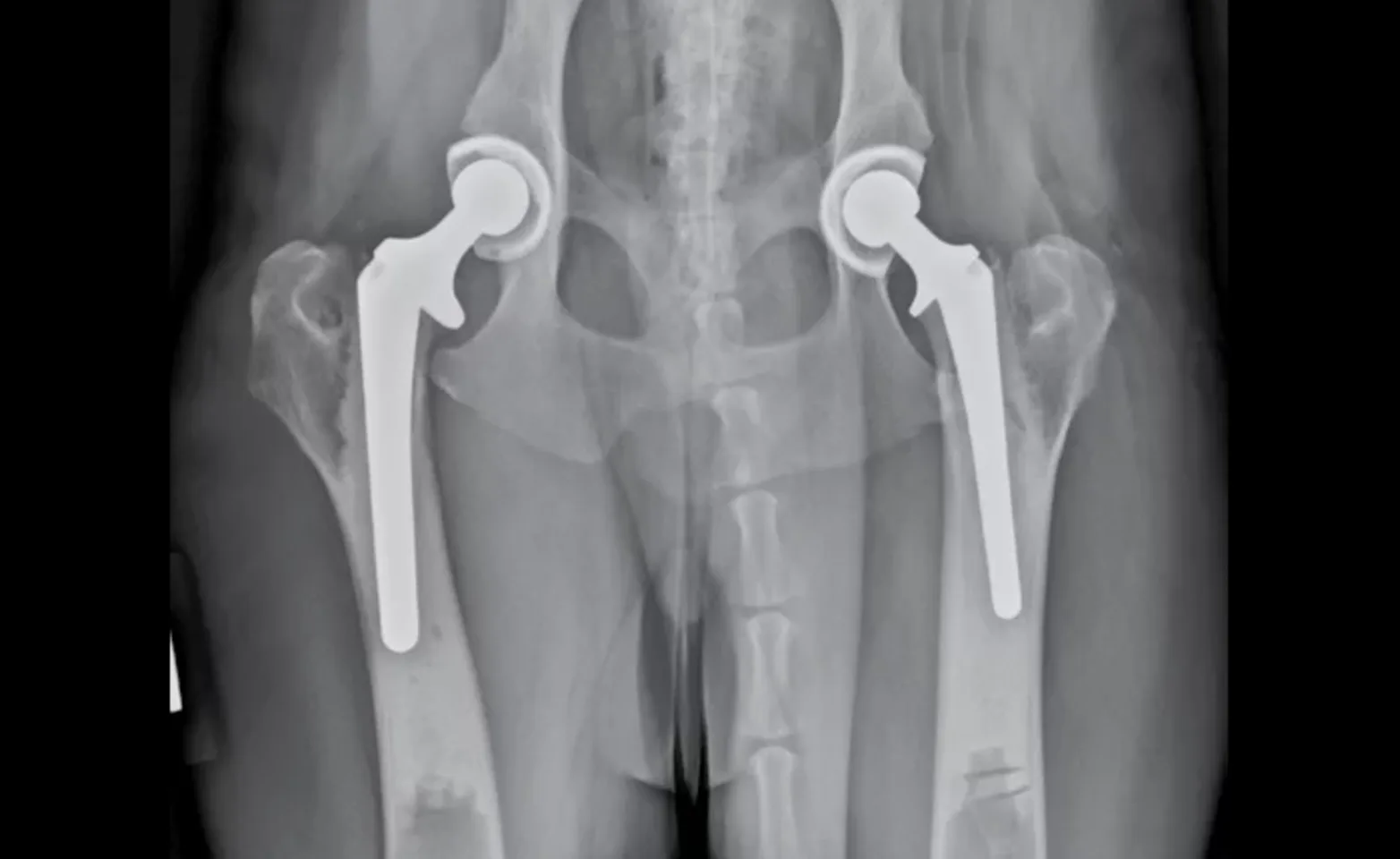
Photo: This radiograph (x-ray) shows a hybrid total hip replacement.

Micro & Nano Total Hip Replacements
Until recently, traditional hip replacement patients had to weigh at least 35 pounds to benefit from this advanced procedure. Approximately 10% or more of the dogs that are presented for hip arthropathies and all cats were historically too small for hip replacement prosthesis insertion. Now, micro implants have been developed to accommodate patients as small as 5 pounds!
Working with BioMedtrix, Dr. Marino helped develop micro and nano implants to accommodate patients of various sizes, ranging from 1 pound to 275 pounds! Only a handful of surgeons in the world perform micro and nano hip replacements and Dr. Marino was the first on the East Coast to perform this surgical procedure.
